
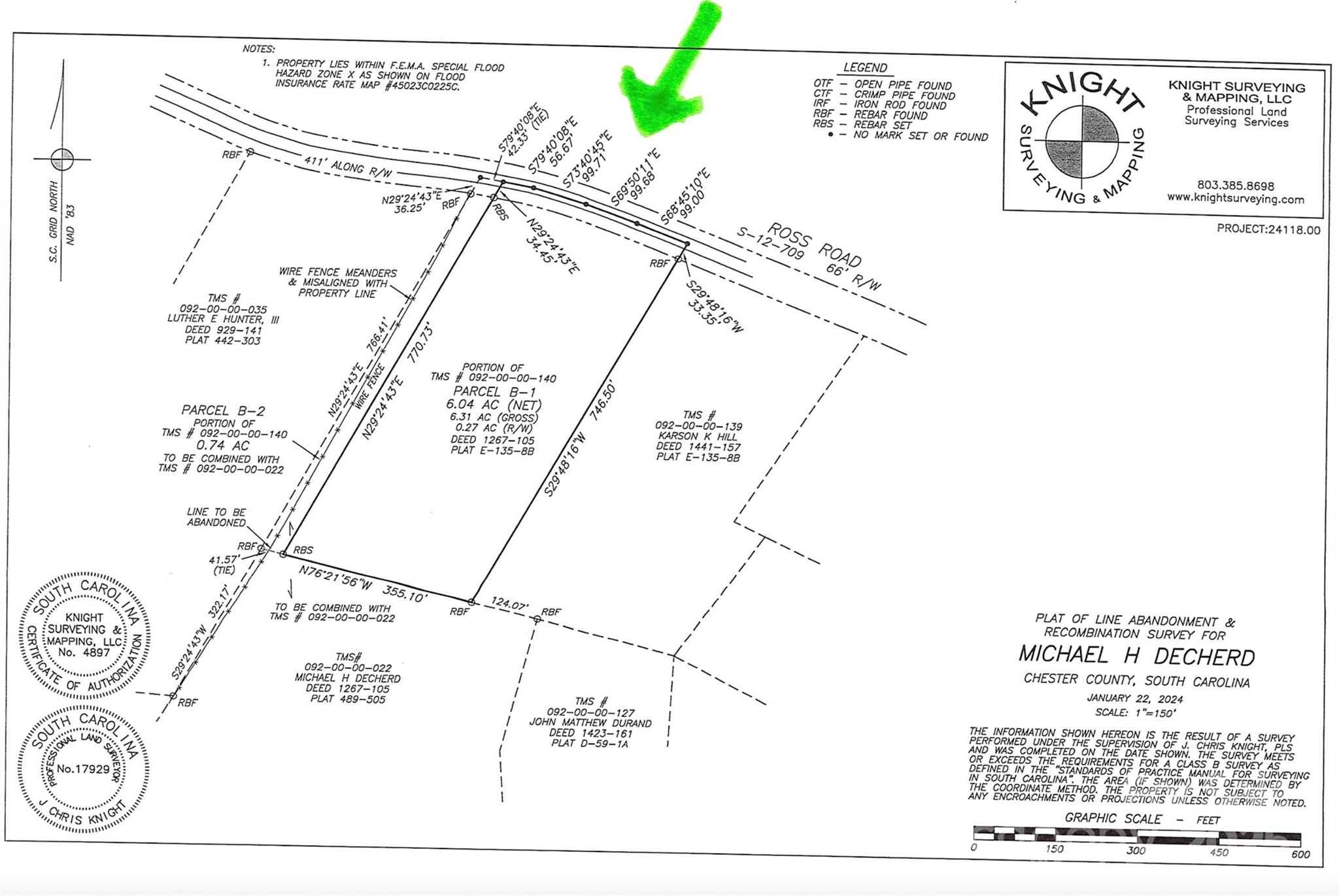
Flat lot with 355 feet of road frontage on Ross Road in Blackstock (~7 miles southeast of downtown Chester). GIS description shows 6.31 acres, however the previous survey shows 6.04 acres. This land is suitable for a private residence but has not been cleared yet. Already approved for a 3 Bed Conventional Septic System (transferable permit expires 1/22/29). Duke Energy power lines run along Ross Road. No well has been dug yet. Allowable (residential) property use regulations is attached in MLS. Typical/common utility easement w/ Duke Energy. GPS: 1168 Ross Rd, Blackstock, SC 29014, USA i77 South to Exit 55, head west on route 97 (Great Falls Highway) for 7.7 miles, take left onto Boyd Rd for .4 mile, take right onto Ross Rd for .2 mile, property is on the left. When facing this property from Ross Rd, there is an adjacent ~42 ft wide strip of land that is part of the ~10 acre parcel behind this property. *Do not walk the lot without an appointment*
| MLS # | 4268549 |
|---|---|
| Listing Type | For Sale |
| Sub-Type | Resale |
| Status | Active |
| Days On Site | 150 |
| Listing Provided By | EXP Realty LLC Ballantyne | Chris Phillis |
| Zoning | R-2 |
|---|---|
| Acreage | 6.04 |
| Lot Features | Level, Wooded |
|---|
| Utilities | Other - See Remarks |
|---|
| Community Features | None |
|---|
| List Aor | Canopy Realtor Association |
|---|
| Property | 3990 |
|---|
| State | SC |
|---|---|
| County | Chester |
| City | Chester |
| Zip Code | 29014 |
| Area | Chester |
| School District | Unspecified |
| Elementary School | Unspecified |
| High School | Unspecified |
| State | SC |
|---|---|
| County | Chester |
| City | Chester |
| Zip Code | 29014 |
| Area | Chester |
| School District | Unspecified |
| Elementary School | Unspecified |
| High School | Unspecified |